Lot 136
    Land
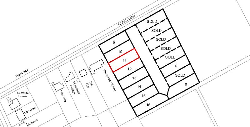
    Plot 13
    Land Lying to the East of Green Lane, Ockham, Woking, Surrey, GU23 6PQ
    Sold Prior to auction, for an undisclosed amount
     
    Number 1
    A Vacant Plot of Land Measuring Approximately 0.125 Acres (5,445 sq ft). Suitable for a Variety of Uses (subject to obtaining all relevant consents).

    Description

    The plot comprises a rectangular shaped site measuring approximately 0.125 Acres (5,445 sq ft).

    Tenure

    Freehold

    Location

    The plot forms part of a larger site situated off a residential road in Ockham close to local shops and amenities. There are numerous green open spaces within easy reach. Transport links are provided by Horsley rail station and the M25 (J10) is very easily accessible.

    Note

    Purchasers are deemed to rely on their own enquiries with regard to any possible development or change of use potential for this individual plot of land.

    Addendum

    Sold Prior
    Sold Prior
    For further information, please register for the legal pack. To speak to a member of our team about this lot, please call us on
    Share this lot

    Additional Fees and Disclaimer

    Administration charge: £1,800 including VAT unless otherwise stated in the addendum.

    Buyers Premium and Disbursements: Please see the legal pack and the addendum for any disbursements and buyers premium that may be payable by the purchaser on completion.

    Guide Prices are provided as an indication of each seller’s minimum expectation. They are not necessarily figures which a property will sell for and may change at any time prior to the auction. Each property will be offered subject to a Reserve ( a figure below which the Auctioneer cannot sell the property during the auction) which we expect will be set within the Guide Range or no more than 10% above a single figure Guide.

    Particulars including images and video tours on the website and within the catalogue are believed to be correct but their accuracy is not guaranteed. The auctioneers will always endeavour to inform prospective purchasers of variations to the catalogue, when such changes are brought to their attention. The auctioneers nor their clients can be held responsible for any losses, damages, or abortive costs incurred in respect of lots that are withdrawn or sold prior to auction. Viewings are carried out by third party agents and we will endeavour to give appropriate notice should the published viewing time change. Auction House London will not be liable for any costs or losses incurred due to viewing cancellations or no shows. Information relating to Rating matters has been obtained by verbal enquiry only. Prospective purchasers are advised to make their own enquiries of the appropriate authorities. Prospective purchasers are deemed to verify for themselves whether tenanted properties are occupied and rents are being paid. All measurements, areas and distances are approximate only. Potential buyers are advised to check them. No representation or warranty is made in respect to the structure of any properties nor in relation to their state of repair. Prospective buyers should arrange for a survey of the particular lot by a professionally qualified person.

    Click Here for our Notice to Prospective Buyers

    Contact Our Property Experts